British Bugs
HOME A BIT ABOUT BUGS GALLERY SYSTEMATIC LISTS RECORDING BUGS CONTACT US LINKS

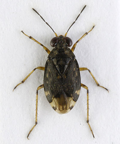
Saldula orthochila
Family: Saldidae

This genus comprises 11 rather oval saldids which have an entirely dark pronotum and forewings which completely overlap. There are several very similar species which are often difficult to identify.

S. orthochila
is one of the more recognisable species, with a single prominent pale spot on the margin of the forewing, near the apex of the corium. The 2nd antennal segment bears long hairs and there is a prominent black patch at the base of the wing membrane. The 1st antennal segment is often pale.

This is the only
saldid species found in dry habitats, such as wastelands, sand dunes and grasslands. It is found throughout the UK, but more commonly in the north.

Compare: S. saltatoria

Adult: All year
Length 3.5-5 mm
Saldula orthochila
Adult: Hants (June 2018) ©Tristan Bantock

Saldula orthochila Saldula orthochila
Adult: Holland (August 2012) ©Tristan Bantock
Adult: Yorks (October 2008) ©Joe Botting